
Un’indagine aerea sul Guatemala settentrionale ha rivelato oltre 60.000 nuove strutture Maya, tra cui piramidi, strade rialzate, fondazioni di case e fortificazioni difensive. È una scoperta enorme che ha già portato gli archeologi a scavare ed esplorare i nuovi siti.
«Le immagini LiDAR chiariscono quanto l’intera regione fosse un sistema di insediamenti, le cui dimensioni e densità di popolazione sono state largamente sottostimate», ha dichiarato l’archeologo Thomas Garrison.

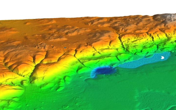
Il LiDAR
Per vedere le tracce di quella popolazione è stato necessario togliere virtualmente la fitta vegetazione del Guatemala. Nella giungla è infatti facile camminare accanto a una rovina archeologica e non vederla. Il nuovo studio ha utilizzato la tecnologia LiDAR (Light Detection And Ranging), che funziona trasmettendo impulsi laser a terra – in questo caso, da aerei – e misurando le lunghezze d’onda riflesse, così da creare una dettagliata immagine tridimensionale del terreno. Il lidar traccia la topografia con tanta precisione che le caratteristiche rettangolari – come strade, fondazioni di case e piazze – “saltano semplicemente fuori”, ha detto David Stuart, antropologo presso l’Università del Texas ad Austin che ha seguito da vicino il progetto.
L’esperienza di Thomas Garrison, archeologo dell’Ithaca College e National Geographic Explorer, lo conferma: la sua squadra aveva scavato e mappato minuziosamente per anni il sito maya di El Zotz nel nord del Guatemala. Il lidar ha però rivelato su una collina un muro di fortificazione lungo 9 metri, mai notato prima. «Forse alla fine ci saremmo arrivati lo stesso, ma nel 2010 io ero a circa 46 metri di distanza e non avevo visto nulla», ha dichiarato a Live Science. Garrison ha visitato il muro lo scorso giugno, e ora lui e la sua squadra stanno cercando finanziamenti per scavarlo.



Tesori nascosti
Il lidar era stato utilizzato per la prima volta in archeologia nel 1985 in Costa Rica, ma solo nel 2009, quando i ricercatori lo usarono in Belize, venne impiegato nel territorio dei Maya. La nuova ricerca è la prima fase della “PACUNAM LiDAR Initiative”, un progetto triennale che prevede la mappatura di 14 mila chilometri quadrati di bassopiani del Guatemala. Al momento le indagini aeree hanno scansionato 2.100 chilometri quadrati della “Maya Biosphere Reserve”, nella regione del Petén: 10 aree separate, alcune delle quali erano state mappate a mano e altre erano in gran parte inesplorate.
Delle oltre 60.000 strutture architettoniche, la maggior parte, dice Garrison, sono probabilmente piattaforme di pietra che sostenevano le comuni abitazioni Maya. Ma i telerilevamenti hanno anche mostrato caratteristiche che sono probabilmente piramidi, strade rialzate e difese. Uno speciale di National Geographic, “Maya: I tesori perduti” (in onda a partire dal 13 febbraio), si concentrerà su alcune di queste scoperte, tra cui una piramide a sette piani così coperta di vegetazione da fondersi praticamente nella giungla.
Una caratteristica intrigante sulle mappe del lidar, ha detto Lisa Lucero antropologa dell’Università dell’Illinois (non coinvolta nel nuovo sondaggio), è il numero di strade costruite dai Maya. Non usavano bestie da soma, e quindi queste strade non sarebbero servite per i carri. Potrebbero aver funzionato come strade rialzate durante la paludosa stagione delle piogge, oppure come piattaforme per le processioni. Ma sono anche affascinanti i punti vuoti sulla mappa, aggiunge Stuart, i luoghi in cui i Maya scelsero di non vivere. Nessuno vuole esaminare un’area vuota, ma i Maya sapevano sfruttare bene il paesaggio, e le loro scelte su dove stabilirsi potrebbero rivelare di più sul loro utilizzo delle fonti d’acqua e dei campi agricoli. «Cambierà la nostra opinione su come i Maya vivevano in quel paesaggio», ha detto Stuart. «Quando avremo un’immagine chiara di ciò che è stato scoperto, potremo iniziare a parlare dell’organizzazione delle comunità, dei sistemi agricoli, dell’uso del suolo, di strade e comunicazioni».










Meraviglie che lasciano senza fiato.
"Mi piace"Piace a 1 persona
siamo alle solite, pseudo studiosi statunitensi lanciano un idea eppoi cercano di dimostrare che è la verità assoluta con fantasiosi ritrovamenti archeologici il brutto e che studiosi europei si appecoronano per paura di perdere finanziamenti e prebende. Ora nell’ambito della massiva propaganda che il territorio appartiene al primo occupante, propaganda martellante dal dopo guerra, qualcuno potrebbe obiettare che le americhe non erano poi cosi popolate, ed ecco magici ritrovamenti di città sterminate o come ho sentito in docufilm che quando i padri pellegrini sbarcarono c erano decine di milioni di amerindi con città tipo manattan,questo per dire altro tema propagandistico che gli europei fanno schifo e sono il male del mondo.e un arzilla pellerossa che piangeva per il territorio sottrattogli, sappiamo per certo che c era una densità di un abitante per km quadrato.
"Mi piace""Mi piace"
scoprire queste civiltà ha fatto bene alla civiltà europea per dirne una tutti credevano nella storiella di sodoma e gomorra, ma se guardate i maya sono molto peggio ma molto peggio e nessun fuoco li ha divorati dal cielo, tanto si divoravano tra loro, questo dovrebbe aprire le menti e le aperte nel rinascimento, una sottospecie discendete da un non identificato homo forse erectus forse habils ha forgiato una civiltà abbastanza evoluta ed anche affascinate anche se cannibale e violenta all inverosimile.
"Mi piace""Mi piace"
A volte tacere ed ammirare cosa hanno costruito le civiltà precedenti alla nostra è la scelta più saggia.
Grazie
"Mi piace""Mi piace"
C’è tantissimo ancora da scoprire, basta visitare Cobà o Palenque per rendersene conto.
La penisola dello Yucatan è una piana calcarea e ogni “collina” nella foresta potrebbe essere una piramide. Sulla cima della piramide di Cobà si domina la foresta e lo sguardo può spingersi fino al Mare dei Caraibi.
Basterebbe visitare questi luoghi e basterebbe leggere qualche libro di storia per capire quanto poco ancora sappiamo di queste popolazioni (“grazie” alla conquista spagnola); basterebbe avere voglia di leggere e approfondire per capire che i Maya sono diversi dai Toltechi e sono solo uno dei tanti popoli che hanno abitato quei luoghi e, per motivi ancora largamente sconosciuti, hanno spesso abbandonato gli agglomerati che oggi chiameremmo urbani. Basterebbe leggere…
"Mi piace""Mi piace"
fantastico, un ringraziamento agli studiosi….
"Mi piace"Piace a 1 persona